
















2018 BMW X5 – 5UXKR0C59J0X87245
Description
This 2018 BMW X5 (Black) comes from a major insurance auction in the USA or Canada. All information on this page is linked to the vehicle’s VIN (5UXKR0C59J0X87245), which helps confirm where the car was listed and what condition it was in at the time of sale.
The photos shown are real auction photos of this exact vehicle. It’s worth reviewing them closely—auction listings don’t always mention every detail, and images often reveal things like scratches, dents, missing trim, or other visible issues.
Technical details
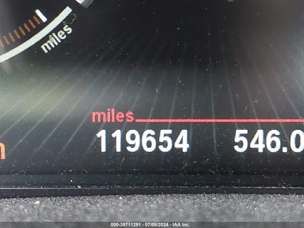
This 2018 BMW X5 (Black) is equipped with an engine designed to balance performance and efficiency. According to the auction listing, the vehicle had 119,654 miles at the time of sale.
Condition and reported damage
At the auction, the following damage was reported:
- Primary damage: Front End
- Secondary damage: Unknown
Insurance-auction vehicles are typically sold with some form of damage or defect, ranging from minor cosmetic issues to more serious problems. To get the clearest picture, compare the reported damage with the photos.
Additional information
Each listing on our site is connected to the vehicle’s VIN, allowing you to cross-check details such as history, ownership records, and accident/insurance information (where available). This vehicle was listed through a large insurance-auction platform in the United States, which helps ensure the information is traceable.
For the most accurate assessment, review all photos and all listed specifications before making any decisions.
Technical Specifications
| VIN Number | 5UXKR0C59J0X87245 |
|---|---|
| Lot ID | 39711291 |
| Sale Date | 2024-08-15 |
| Color | Black |
| Odometer | 119654 |
| Fuel Type | Gasoline |
| Primary Damage | Front End |
| Secondary Damage | Unknown |